3890 m² Bauland mit Altbestand
Beschreibung:
Dieses großzügige Grundstück mit einer Fläche von 3.890 m² befindet sich in einer der begehrtesten Lagen von Weisendorf und bietet ideale Voraussetzungen für die Realisierung von Bauprojekten. Der Südhang sorgt für eine optimale Ausrichtung und viel Sonnenlicht, was sowohl bei der Planung als auch bei der späteren Nutzung von Vorteil ist.Die Lage ist perfekt – zentral, dennoch ruhig, mit guter Anbindung an Infrastruktur und Naherholungsgebiete. Ideal für die Bebauung mit Einfamilienhäusern.
Dieses Grundstück ist die ideale Basis für Bauträger, die auf der Suche nach einem vielversprechenden Projekt in einer attraktiven Umgebung sind. Nutzen Sie die Chance, hier Ihre Visionen umzusetzen!
Lagebeschreibung:
Der Markt Weisendorf ist 14 km von Erlangen sowie 8 Kilometer von Herzogenaurach und 12 Kilometer von Höchstadt an der Aisch entfernt. Der Ort befindet sich in der Metropolregion Nürnberg zentral zwischen Erlangen, Herzogenaurach und Höchstadt an der Aisch. Nürnberg liegt 36 km und Fürth 30 km südöstlich.Mit der Gebietsreform in den 1970er Jahren werden zum 1. Januar 1972 die bis dahin selbstständigen Gemeinden Reinersdorf und Rezelsdorf sowie Nankendorf, ehemals Gemeinde Hammerbach und Buch als Teil der Gemeinde Unterreichenbach eingemeindet. Zum 1. Mai
1978 kamen die Gemeinden Kairlindach und Oberlindach sowie Boxbrunn und Schmiedelberg hinzu.
Im Rahmen der Regionalplanung wird der Markt Weisendorf zum "Kleinzentrum" des Seebachgrundes auserkoren. Die Ortsteile sind noch überwiegend landwirtschaftlich strukturiert, während in Weisendorf schon Industrie ansiedelte.
Mit dem Bau der neuen Hauptschule 1974 und der Mehrzweckhalle 1985 sowie der zentralen Wasserversorgung wurden wichtige infrastrukturelle Maßnahmen realisiert.
In Weisendorf steigt die Zahl der Einwohner durch Erschließung neuer Baugebiete bis 1990 auf über 4.500. Ab den 1990er Jahren erlebt Weisendorf durch Ausweitung des Gewerbegebietes-Ost und verschiedener Baugebiete eine weitere Wachstumsphase und hatte 1993 ertstmals über 5.000 Einwohner. Durch den Kauf und die Erschließung der "Gerbersleite" stieg die Zahl der Einwohner bis zum Jahr 2014 auf über 6.600, wobei allein Weisendorf als Hauptort einen Zuwachs von rund 1.500 Einwohnern zu verzeichnen hatte.
Ausstattung:
Energieausweis:
Ausstattungsbeschreibung:
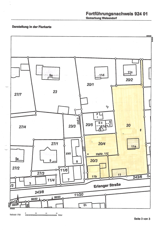
Das gut geschnittene Grundstück grenzt direkt an die Erlanger Straße.Auf dem ca. 3890 m² großen Grundstück stehen 3 Gebäude - siehe Lageplan
- alte Scheune (11b)
- altes Einfamilienhäuschen - Leerstand (11)
- Zweifamilienhaus Bj. 1965 - Whg. EG ab Oktober Leerstand, 1 OG Leerstand (11a)
Für das Grundstück gibt es keinen Bebauungsplan (§ 34 BauGB)
Die Häuser müssen sich in die Umgebungsbebauung einfügen.
Voraussetzung ist der Kompletterwerb! Eine Aufteilung in einzelne Bauplätze kann vor dem Verkauf nicht erfolgen!
Sonstige Angaben:
Bei Erwerb verpflichtet sich der Käufer an Remax Solutions, Christine Vogel, eine Maklerprovision in Höhe von 3,57 % (inkl. MwSt.) des Kaufpreises nach notariellem Vertragsabschluss zu leisten. Durch Ihre weitere Objektanfrage bestätigen Sie die Vereinbarung und Anerkennung dieser Maklerprovision. Ferner beruhen diese Objektdaten auf Angaben des Verkäufers, für die wir keine Gewähr übernehmen.HINWEIS ZUM GELDWÄSCHEGESETZ (GWG)
Gesetzliche Pflichten für Immobilienmakler nach dem GWG gemäß §2 Absatz 1 Nr. 10 GWG. Nach diesem Gesetz ist jeder Immobilienmakler verpflichtet, bei Kontaktaufnahme die Identität des Kunden festzustellen. d.h. Ausweispapiere zu kopieren od. zu fotografieren und 5 Jahre aufzubewahren. Bitte bringen Sie zur Besichtigung ein gültiges Ausweisdokument oder die Kopie Ihres Personalausweises mit. Bei juristischen Personen oder Personengesellschaften ist ein Handelsregisterauszug notwendig. Für weitere Informationen stehen wir Ihnen gern zur Verfügung.
Sie wollen mehr erfahren?
Wenn Sie uns eine Nachricht über das Kontaktformular senden, melden wir uns schnellstmöglich bei Ihnen:




